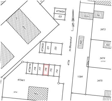
Stellplatzgrundstücke

Stellplatzgrundstücke in Plankstadt:
 “Im Blumenhof”

  • Stellplatzgrundstück
  • Stellplatzgrundstück  für “Carport” zulässig
  • Stellplatzgrundstück  für “Cartport und Garage” zulässig

Stellplatzgrundstücke (auch für Carport)

Im Blumenhof
68723 Plankstadt
(Eisenbahnersiedlung)

Verfügbare Anzahl: 2

Kaufpreis je Stellplatz: a.A.

Stellplatzgrundstücke (auch für Carport und Garage)

Im Blumenhof
68723 Plankstadt
(Eisenbahnersiedlung)

Verfügbare Anzahl: 9

Kaufpreis je Stellplatz: a.A.

Objektbeschreibung:
Der Stellplatz besteht aus hochwertigem, optisch ansprechendem Betonsteinpflaster mit einem stabilen, langlebigen Unterbau. Jeder Stellplatz ist separat absperrbar.
Sie eignen sich auch als Abstellplatz für ein Wohnmobil oder einen Wohnwagen.